欢迎来到康美宠物医院!

   宠物咨询:0513-83561165

医疗服务

MEDICAL SERVICE

医院是南通地区技术精湛,设备先进,人才最聚集的大型宠物医院。

每年为几十万只宠物提供高品质的服务。范围涵盖:宠物医疗保健、美容造型、寄养、洗浴、SPA、食品及用品等。医院成立于2005年,由扬州

大学教授一名,研究生两名,本科生、专科生数十名的专业兽医师团队组成。

专家案例 娴熟的技术,先进的医疗器械。

犬人工角膜修复术

1.基础信息 姓名:狗狗 ,年龄:3岁 ,性别:公, 品种:法斗, 体重:8.2kg。右眼中间长了个凸起,以前也有过类似情况,滴滴眼药水就好了,这次滴了大概2-3周了,没有效果,所以过来看看。

2. 临床检查 右眼赤道部中线偏左2mm处,有一半透明状赘生物,周围角膜组织色素沉着。 STT:os:20 od:20 裂隙灯加荧光素钠染色检查,初步判定为角膜后弹力层膨隆,需手术治疗。

3.辅助检查 血常规结果:白细胞略升高。

4. 初步诊断 根据溃疡部位,损伤范围决定手术术式。鉴于该患犬溃疡面较深,已达后弹力层,周围角膜已经色素沉着,决定用人工角膜补片进行修补手术。

5. 治疗 本病例胸腹部X线片检查未见明显异常,但鉴于患猫体况较差,术前3天给予输液预防继发感染、增加营养等,待患猫体况好转后,实施内固定手术。 丙泊酚诱导麻醉、异氟烷维持麻醉后,患肢备皮消毒。

肠道肿瘤切除

1.基础信息 格格,犬,年龄11岁,体重3.75kg,雌性,已绝育,前天还很精神。昨天呕吐,呕吐后特别虚弱。大便情况不详。

2. 临床检查 生化指标正常,白细胞轻微升高。绝育已做。现在喝水也吐,呕吐有血。没有大便。肛门滴了一些粪水出来。

BCS:4/9 T:38.5℃ 体格检查:精神极差、无法站立、脱水,触诊腹部未见明显异常。  

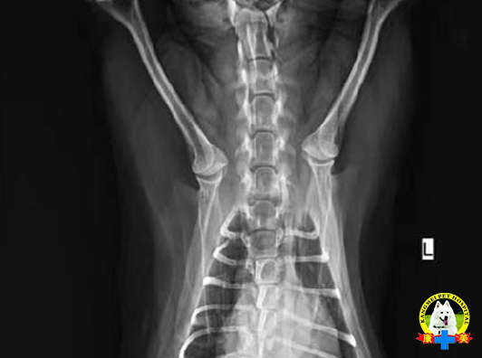
3.辅助检查 DR显示:肠道影像扩张明显。超声检查可见 肠道扩张积液,水肿。 

4. 初步诊断 影像学检查基本确诊患犬肠道梗阻 血检跟昨日他院化验数据相比,炎症明显升高,机体出现脱水。

5. 治疗 手术切除良性肿瘤和息肉,预后良好。对于局灶性腺癌的完全切除术,预后良好。

膀胱肿瘤病例

1.基础信息 灵灵,萨摩耶犬,年龄9岁,体重26kg,雄性,已绝育,这两天有呕吐,不太想吃东西,精神不太好,小便一直滴滴答答不多 期间在其他地方打针,未见明显效果,并且精神变差。

2. 临床检查 膀胱肿瘤常通过超声检查或超声引导的活组织检查确诊,其敏感性和特异性达90%。 超声引导或无引导下导尿管活检也有助于诊断,且能避免肿瘤细胞散布转移,但需要小心操作,避免尿道或膀胱颈损伤 膀胱镜检查的准确性和特异性达100%

3.辅助检查 体格检查:体温37.9℃。血常规,CRP:提示炎症指标高,有脱水。超声检查:膀胱不充盈。膀胱壁等回声增厚,腹水。

4. 初步诊断 诊断患犬患膀胱破裂,继发肾衰竭,尿毒症,状态不佳,治疗需立即采取手术,膀胱缝合

5. 治疗 本病例恢复良好,与冲洗完全及手术缝合过程注意无菌有关。 快速恢复肾功能及血气恢复与腹腔透析管的合理使用有关。

玩具犬 共济失调

1.基础信息 宠物姓名:球球 ,品种:玩具泰迪犬, 体重:2kg, 年龄:2Y ,性别:♀。 之前一切正常,昨天晚上外出遛弯回家后比较兴奋,玩耍时从床上掉下,后来就不太愿意动了,到现在,就一直站不起来了。

2. 临床检查 BCS:4/9,T皮:38.5°,HR:96,RR:24 CRT:<2S,MM:pink 患犬俯卧,精神状态焦虑,头部抬起,意识清醒正常;无法正常站立和行走,四肢神经功能障碍,共济失调,四肢悬空时有不自主划水样动作;瞳孔反射正常未见异常震颤或大小不一,脑神经检查未见异常;本体感受减弱。

3.辅助检查 血检结果:传染病阴性,血检无异常,未见中毒指征。DR未见明显寰枢椎脱位(未镇静,摆位可能存在一定误差)。

4. 初步诊断 基本可以判断为脊髓性共济失调,根据患犬品种、发病前24小时的经历,怀疑外力导致的寰枢椎半脱位或椎间盘突出压迫脊髓。

5. 治疗 1、静养,由于动物不愿进食,主人无法喂食,需要住院输液,强饲,保证基本营养摄入; 2、每天90min高压氧理疗; 3、泼尼松龙2mg/kg*day,奥美拉唑1mg/kg*day; 4、四肢肌肉按摩拉伸,每天两次,每次5min;

金毛犬骨肉瘤

1.基础信息 三岁雄性未绝育金毛犬,体重36kg。最近一个月右前肢肿大,这几天破溃恶臭,有用抗生素,没有效果;食欲下降,体 重从35kg下降到 32.5kg;免疫驱虫全;

2. 临床检查 TB:38°,HR:100,RR:40 CRT:1.5S,MM:PK BCS:5/9,精神状态良好,活泼;右前肢腕关节处肿胀流脓,恶 臭;缓慢行走时只可轻微点地;

3.辅助检查 X光片未见肺部转移病灶;全腹部彩超未见肝胆、脾脏、胰腺、胃肠道等明显肿瘤影像。

4. 初步诊断 根据患犬近一个月的病情发展及临床表现,再结合X射线检查, 高度怀疑骨肉瘤,但目前尚未发现病灶转移。建议送检病理组织确诊。

5. 治疗 动物基本体征良好,血检生化尚可,血凝正常;ASA评级二级,可以 进行截肢手术治疗。

犬股骨骨折

1.基础信息 宠物姓名:仔仔, 品种:金毛, 体重:6kg ,年龄:3M ,性别:母。日前遭车子碾压,右后肢股骨中段骨折,在别的地方拍了片子,皮下有瘀血,精神尚可。

2. 临床检查 BCS:6/9,T皮:38.8°,HR:100,RR:40 CRT:<2S,MM:pink 精神状态一般,右后肢悬跛。

3.辅助检查 DR可见,右侧股骨中断骨折

4. 治疗计划 1、骨板内固定; 2、住院输液治疗; 4、伤口护理; 5、止血、消炎、疼痛管理; 6、补钙、补充维生素AD油; 7、每三周复查X光片;

5. 治疗 术后输液消炎、镇痛,住院5天后,伤口良好,患肢可以负重行走;复查血检无异常;术后第十天复诊拆线,主诉一切正常。

膀胱结石

1.基础信息 五岁雌性已绝育金毛,体重36kg。昨晚开始尿淋漓、排尿困难;今天感觉很痛苦,不愿吃东西,还吐;到别的医院挂水;做了体检,生化未见明显异常;轻度炎症;以前有膀胱炎的病史;

2. 临床检查 TB:37.8°,HR:100,RR:40 CRT:2S,MM:PK 眼结膜充血,呼吸较喘,腹围较大,触诊腹部紧张,有排尿姿势却无尿排出; 初步怀疑尿路阻塞;

3.辅助检查 DR可见膀胱内有大量结石,尿道中有一约1.5cm直径的椭球型结石 诊断:膀胱结石、尿道结石引起的尿道阻塞

4. 治疗计划 1、做膀胱切开术取出膀胱和尿道结石; 2、留置双腔导尿管; 3、恒速输液,稀释尿液; 4、伤口常规护理; 5、止血、消炎、疼痛管理; 6、长期服用膀胱黏膜保护剂(利尿通)和泌尿道处方粮。

5. 治疗 术后前两日尿液红,膀胱内出血量较大,饮食欲一般,伤口良好; 第三天尿液基本澄清、色黄半透明,拆除导尿管; 继续输液、消炎、止血两日,伤口良好,干燥无渗出;排尿顺畅,大小便均正常;复查血检无异常; 术后第十天复诊拆线,主诉一切正常。